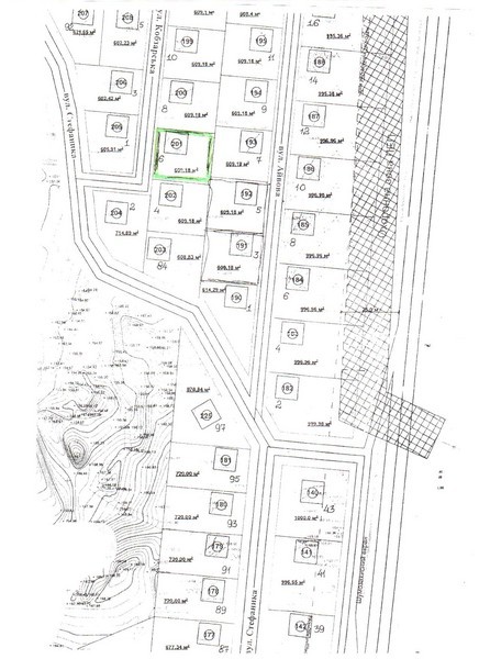
Земельна ділянка в районі "кар"єра"
Ужгородський, Ужгород, р-н. Горяни, Стефаника
Призначення землі:буд. та обсл. ж/б
Площа землі:0.06 га
Ціна:12 000 USD ≈ 526 265 грн
Код об'єкта:1969
Рієлтор:Роман
Телефон:+38 (050) 372-55-66 +38 (097) 753-85-86
Мобільний:+38 (050) 076-69-68
E-mail:uzhrealty@gmail.com


















